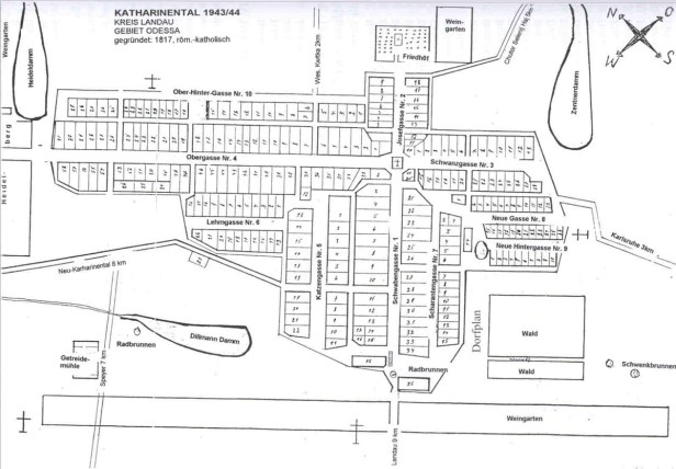
Ich bin sehr stolz darauf, heute eine Liste aller Einwohner Katharinentals im Jahre 1944 präsentieren zu können!
In diesem Dokument sind 377 Familien enthalten und eine Karte von Katharinental.
Man kann genau sehen, wo jede einzelne Familie gewohnt hat.
Die Karte findet ihr unten. Falls ihr eine Kopie der Einwohner-Liste haben möchtet, schreibt mir gerne eine Email.
Die folgenden Namen finden sich auf der Liste:
I´m very proud to present a complete list of Katharinental residents in 1944. There are 377 surnames and a map of Katharinental. You can see exactly where each family lived. You can see the map below. If you are interessted in the list of residents, please send me an Email.
The following names are included:
Bernhardt, Böhm (Boehm), Büller, Bullinger, Butsch
Daub, Deibele, Dielger (Dilger, Dillger), Dietrich, Dillmann, Doll
Eberle, Ermetraut,
Flink, Fütterer
Haaf, Hawruschenko, Hammel, Heidt, Himmelspach, Hörner (Hoerner), Hopfauf
Ihli
Janzer (Jantzer, Yanzer, Yantzer), Jochim
Kastner, Keller, Kellermann, Klein, Krieger
Kunz
Mackert, Maier, Martin, Messer, Mildenberger
Petschura
Ressler, Roll, Rung
Schaaf, Schanz, Schäfer (Schaefer), Sprung, Steiner, Stockert, Straek, Stroh, Sturm
Veilinger, Veitelheimer, Vogt
Waliner, Weiler, Weinberger
Zentner, Zimmermann

